Inkrafttreten der Satzungen
1. Bebauungsplan „Neufassung – Äußere Bahnhofstraße“
2. Örtliche Bauvorschriften zum Bebauungsplan „Neufassung – Äußere Bahnhofstraße“ Gemeinde Bodelshausen
Der Gemeinderat der Gemeinde Bodelshausen hat am 08.04.2025 in öffentlicher Sitzung den Bebauungsplan „Neufassung – Äußere Bahnhofstraße“, Gemeinde Bodelshausen gemäß § 10 Abs. 1 Baugesetzbuch (BauGB) und die zusammen mit dem Bebauungsplan aufgestellten Örtlichen Bauvorschriften für den Geltungsbereich des Bebauungsplanes „Neufassung – Äußere Bahnhofstraße“, Gemeinde Bodelshausen gemäß § 74 Abs. 7 Landesbauordnung Baden-Württemberg (LBO) als jeweils selbstständige Satzungen beschlossen.
Der vom Gemeinderat der Gemeinde Bodelshausen am 08.04.2025 in öffentlicher Sitzung beschlossene Bebauungsplan „Neufassung – Äußere Bahnhofstraße“, Gemeinde Bodelshausen, sowie die Örtlichen Bauvorschriften für den Geltungsbereich des Bebauungsplans „Neufassung – Äußere Bahnhofstraße“, Gemeinde Bodelshausen, wurden gemäß § 10 Abs.1 BauGB als Satzung beschlossen.
Ziel und Zweck der Planung
In der Gemeinde Bodelshausen soll eine Brachfläche am südlichen Ortsrand einer Wohnnutzung zugeführt werden. Der bisherige Bebauungsplan „Äußere Bahnhofstraße“ aus dem Jahre 2004 lässt Neubauten im Wesentlichen nur im Bereich der Bestandsbebauung der ehemaligen Kfz-Werkstatt auf Flst. 4690 zu. Westlich angrenzend wurden kürzlich neue Mehrfamilienhäuser erstellt. Aufgrund der guten Erreichbarkeit von Bodelshausen über die Bundesstraße 27 sind neue Wohnungen stark nachgefragt.
Die geplante Nutzung entspricht der von der Gemeinde angestrebten verdichteten Wohnnutzung im Ortsbereich von Bodelshausen. Mit der Neufassung des Bebauungsplans reagiert die Gemeinde auf die hohe Nachfrage nach Wohnraum.
Da sich das Bebauungsplangebiet im Süden teilweise im Außenbereich befindet, wird das Aufstellungsverfahren im sog. Regelverfahren durchgeführt.
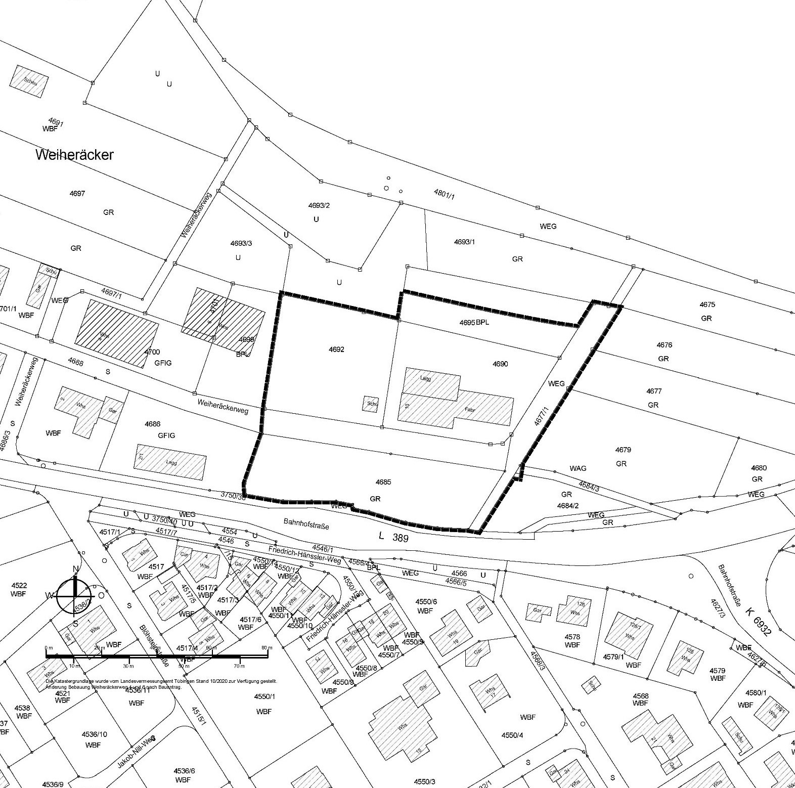
Das Plangebiet wird im Norden und Osten durch Wald- und Wiesenflächen, im Westen durch die bestehende Bebauung und im Süden durch die Bahnhofstraße begrenzt.
In das Plangebiet sind die Flurstücke Flst. 4685, 4690,4692, und Teilflächen der Flurstücke Flst. 4677/1, 4679, 4684/2, 4684/3, 4688 (Weiheräckerweg) und 4695 einbezogen.
Die Größe des räumlichen Geltungsbereichs beträgt in dieser Abgrenzung ca. 0,77 ha.
Das Plangebiet wird wie in der nachfolgenden Planzeichnung dargestellt begrenzt:
Für den Eingriff durch den Bebauungsplan werden Ersatzmaßnahmen zugeordnet. Diese werden wie in den nachfolgenden Planzeichnungen dargestellt begrenzt:
Ersatzmaßnahme E1: Ausgleich einer Magerwiese, Flst. 4845, Gmk. Melchingen, Stadt Burladingen
Verortung der Ausgleichsfläche für den Ausgleich der Magerwiese (rot)
Ersatzmaßnahme E2:
Umbau von Hochwald in einen strukturreichen Waldrand zur Wahrung des gesetzlichen Waldabstandes
Verortung der Ausgleichsfläche (grün)
Ersatzmaßnahme E3:
Planexterner Ausgleich über eine Ökokonto-Maßnahme in Neufra
Flurstücke 4414, 4415 und 4416, Gemarkung Neufra
Verortung der planexternen Ausgleichsmaßnahme in Neufra (violett)
Im Einzelnen gilt für den Bebauungsplan die Planzeichnung (Teil A) und der Schriftliche Teil (Teil B 1.), für die Satzung über die Örtlichen Bauvorschriften die Planzeichnung (Teil A) und der Schriftliche Teil (Teil B 2.), jeweils mit dem Datum vom 08.04.2025.
Der Bebauungsplan „Neufassung – Äußere Bahnhofstraße“, Gemeinde Bodelshausen, und die Örtlichen Bauvorschriften zum Bebauungsplan „Neufassung – Äußere Bahnhofstraße“, Gemeinde Bodelshausen, treten gemäß § 10 Abs. 3 Baugesetzbuch und § 74 Abs. 7 Landesbauordnung BW mit dieser öffentlichen Bekanntmachung in Kraft.
Jedermann kann den Bebauungsplan und die Satzung über die Örtlichen Bauvorschriften sowie deren Begründungen einsehen und über deren Inhalt Auskunft verlangen.
Der Bebauungsplan und die Örtlichen Bauvorschriften mit deren Begründungen können bei der Gemeinde Bodelshausen, Rathaus, Am Burghof 8, 72411 Bodelshausen (Zimmer 104, Geschoss 1), während der üblichen Öffnungszeiten eingesehen werden.
Folgende technische Vorschriften, auf die im Bebauungsplan Bezug genommen werden, können an selber Stelle eingesehen werden: DIN 4109
Auf die Vorschriften des § 44 Abs. 3 Satz 1 und 2 Baugesetzbuch (BauGB) über die Fälligkeit etwaiger Entschädigungsansprüche im Falle der in den §§ 39 – 42 BauGB bezeichneten Vermögensnachteile, deren Leistung schriftlich beim Entschädigungspflichtigen zu beantragen ist und des § 44 Abs. 4 BauGB über das Erlöschen von Entschädigungsansprüchen, wenn der Antrag nicht innerhalb der Frist von drei Jahren gestellt ist, wird hingewiesen.
Eine Verletzung der in § 214 Abs. 1 Nr. 1 bis 3 BauGB bezeichneten Verfahrens- und Formvorschriften, eine unter Berücksichtigung des § 214 Abs. 2 BauGB beachtliche Verletzung der Vorschriften über das Verhältnis des Bebauungsplans und des Flächennutzungsplans sowie die nach § 214 Abs. 3 Satz 2 BauGB beachtlichen Mängel des Abwägungsvorgangs sind gemäß § 215 Abs. 1 BauGB unbeachtlich, wenn sie nicht innerhalb eines Jahres seit dieser Bekanntmachung schriftlich gegenüber der Gemeinde Bodelshausen geltend gemacht worden sind. Bei der Geltendmachung ist der Sachverhalt, der die Verletzung oder den Mangel begründen soll, darzulegen.
Eine etwaige Verletzung von Verfahrens- und Formvorschriften der Gemeindeordnung für Baden-Württemberg (GemO) in der aktuellen Fassung oder von auf Grund der GemO erlassener Verfahrensvorschriften beim Zustandekommen dieser Satzungen wird nach § 4 Abs. 4 Gemeindeordnung (GemO) in dem dort bezeichneten Umfang unbeachtlich, wenn sie nicht schriftlich oder elektronisch innerhalb eines Jahres seit dieser Bekanntmachung gegenüber der Gemeinde Bodelshausen geltend gemacht worden ist. Der Sachverhalt, der die Verletzung begründen soll, ist zu bezeichnen. Dies gilt nicht, wenn
- die Vorschriften über die Öffentlichkeit der Sitzung, die Genehmigung oder die Bekanntmachung verletzt worden sind oder
- der Bürgermeister dem Beschluss nach § 43 GemO wegen Gesetzwidrigkeit widersprochen hat oder
- vor Ablauf der Jahresfrist die Rechtsaufsichtsbehörde den Beschluss beanstandet oder ein Dritter die Verfahrensverletzung gerügt hat.
Öffnungszeiten der Gemeindeverwaltung Bodelshausen:
Mo., 08.00 - 12.00 Uhr
Di. geschlossen
Mi., 08.00 - 12.00 Uhr und 14.00 - 18.00 Uhr
Do., 08.00 - 12.00 Uhr
Fr., 08.00 - 12.00 Uhr
und nach telefonischer Vereinbarung
Bodelshausen, den 17.06.2025
Florian King
Bürgermeister





