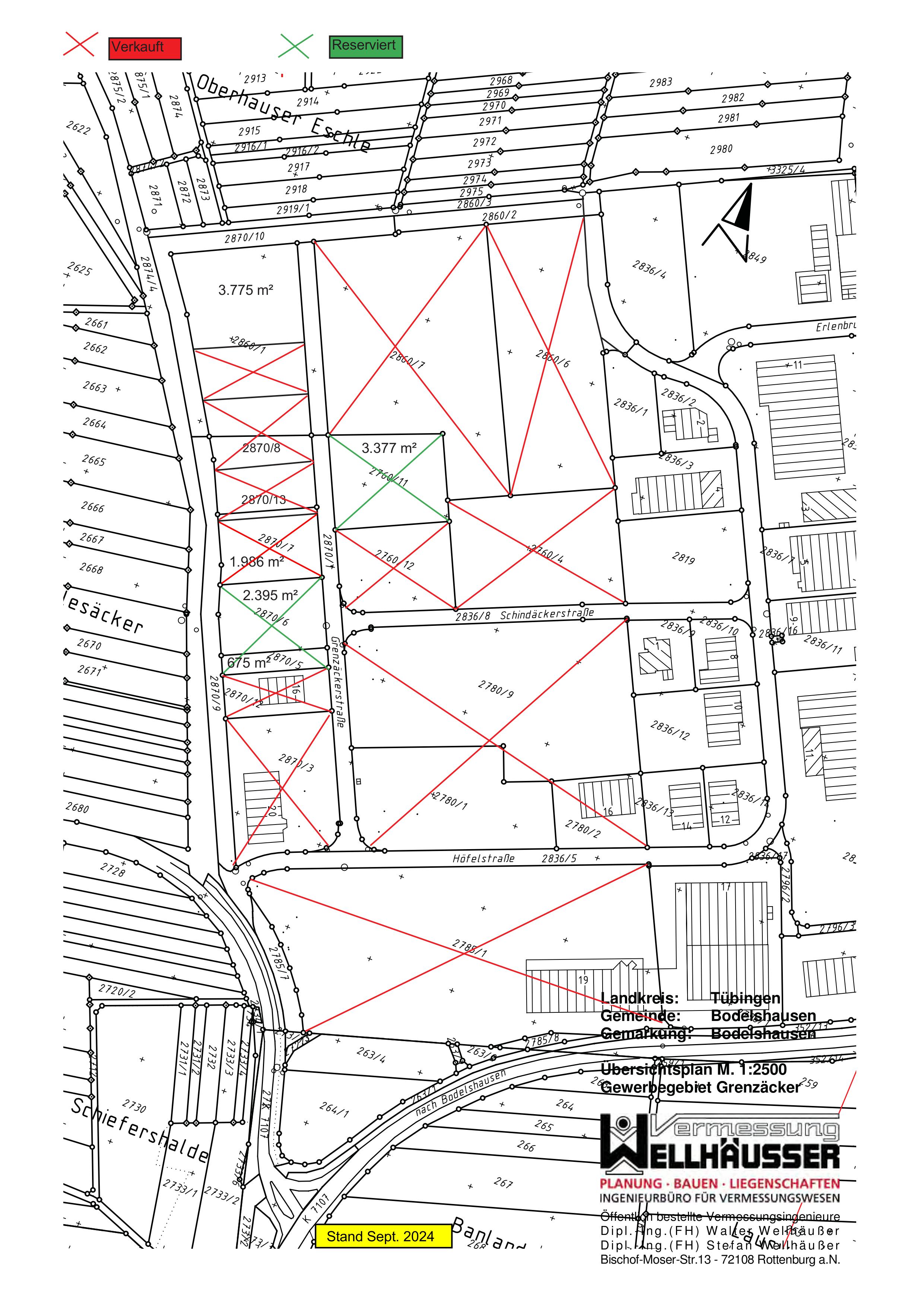
Das Gebiet umfasst insgesamt 12,5 ha und ist voll erschlossen. Derzeit beträgt die noch verfügbare Fläche rund 100 ar.
Es stehen Bauplätze ab 15 ar zur Verfügung. Die Größe ist grundsätzlich variabel. Preis 125 €/m².
Lageplan (117,3 KB)
Bebauungsplan (995 KB)
Textliche Festsetzungen (3,669 MB)



